Skip to main content

Village Hubs

July 4, 1671. The very first parcel of land granted officially was given to Thimothée Josson. Does that mean some parcels were granted unofficially? Absolutely. Before that date, parcels of land were granted through verbal agreements. The owners of the seigneury, the nuns of the Hôtel-Dieu de Québec, had a system relying on trust.

Watercolor depicting the landscape of Grondines, Deschambault and Lotbinière as seen from the middle of the river.

View of Grondines, Deschambault and Lotbinière (1796), watercolor by Elizabeth Simcoe.

 

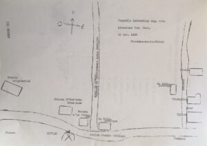
Hand-drawn map of the first village.

Sketch of the first village.

After the construction of the windmill on the riverbank in 1674, the seigneury started taking shape. Although the first concessions were mainly concentrated around the seigneurial estate, they did extend westward to the Sainte-Anne seigneury, and then eastward once new land was made available in 1672.

The Birth of Village Hubs

Black and white photo of the ruins of a house in winter.

Ruins of a dwelling no longer standing.

As more and more of the land was settled, village clusters started springing up. The seigneury of Les Pauvres, also called the seigneury of Grondines-Est, transformed into a small hamlet called Frappe-Sacre[1], east of the village, where route 138 lies today.

In order to escape recurrent spring flooding, the inhabitants of the village along the river moved 500 metres north. The construction of a new church in 1842 marked the end of the first settlement.

Later in the 19th century, many people chose to settle near the flour mill built on the banks of the Rivière du Moulin to the west of the village. This gave rise to a working-class faubourg, home to a carpenter, a blacksmith, a general store and more.

Around the same time, the village prospered and its population grew. Several general stores were established on each side of the parish, giving the impression that the village was organized around distinct neighbourhoods: the upper slope on the main street, the village proper and the faubourg.

From the end of the 19th century to the middle of the 20th century, countryside lots teemed with activity. A number of families settled near the train station, creating a new village cluster. In Grondines-Station, one could find a schoolhouse, a post office, a sawmill, and even, thanks to the initiative of local residents, a baseball field at the beginning of the 1940s.

The establishment of the village of Saint-Joseph towards the end of the 19th century sparked the development of the west end of Grondines. As colonization progressed across the province, some residents settled at the top of Route Portelance, which connected with Chemin Piché before the construction of the highway. However, the village failed to maintain its momentum. The houses and farm buildings that once stood there have long since disappeared.

Color map of Saint-Charles-des-Grondines identifying the different sectors of the village.

Technical survey map of Grondines, 1950.